ОБЯВЛЕНИЕ № ТСУ–30–1978-26 гр. Плевен, 24.02.2025г.
702
ОБЯВЛЕНИЕ
№ ТСУ–30–1978-26
гр. Плевен, 24.02.2025г.
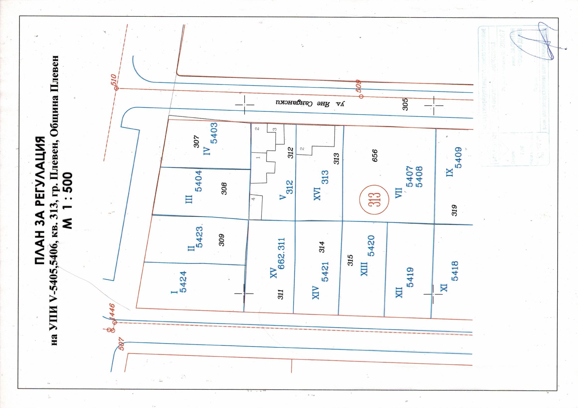
Община – Плевен на основание чл. 128, ал.3 от Закона за устройство на територията, съобщава на заинтересованите собственици на УПИ V- 5405,5406, ПИ 56722.662.312, кв.313 по плана на гр. Плевен, че е изработен проект за:
Изменение на Подробен устройствен план – План за регулация и застрояване за УПИ V- 5405,5406, кв.313 по плана на гр. Плевен
Проектът се намира в стая № 98 на Общината и може да бъде прегледан в дните понеделник, вторник, сряда и петък от 9,00 до 11,00 часа.
На основание чл.128 ал.5 от Закона за устройство на територията в 14 дневен срок от деня на получаването на настоящето обявление, заинтересованите могат да направят писмени възражения, предложения и искания по проекта до общинската администрация в Центъра за административно обслужване на Общината.
арх. Росица Томова:
Началник отдел „ТО“
Община Плевен
