ОБЯВЛЕНИЕ № ТСУ–30–1978-316 гр. Плевен, 24.11.2025 г.
71
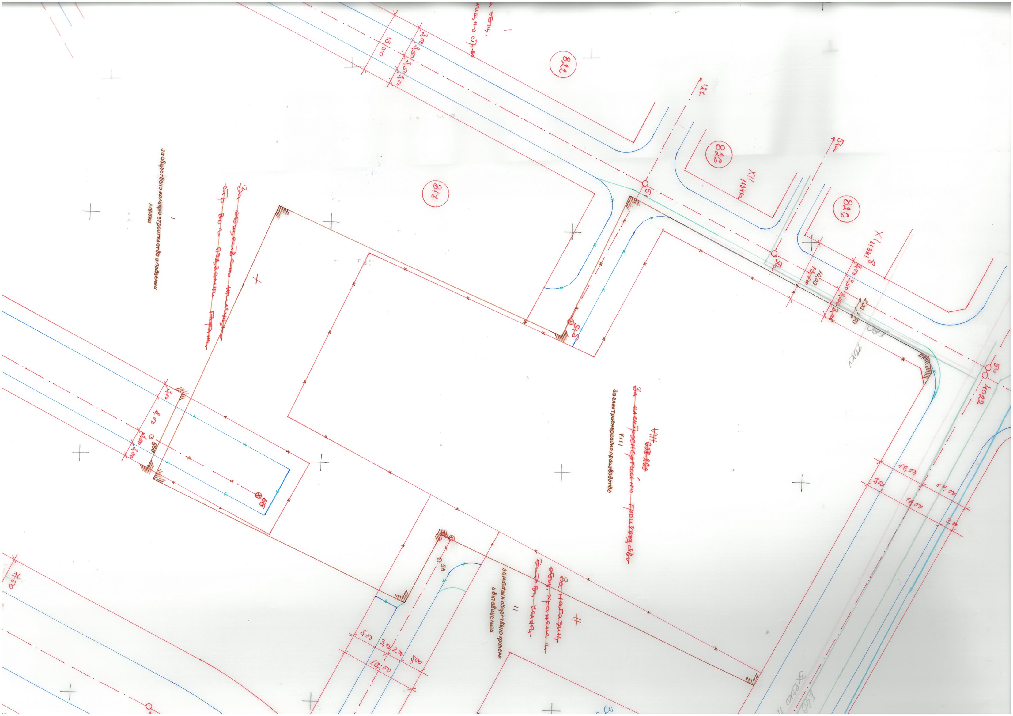
ОБЯВЛЕНИЕ
№ ТСУ–30–1978-316
гр. Плевен, 24.11.2025 г.
Община Плевен, на основание чл.129, ал.2 от Закона за устройство на територията съобщава, че със заповед № РД–12 –600/21.11.2025 г. на Кмета на Община Плевен е одобрено
Изменение на Подробен устройствен план-План за регулация и застрояване за урегулиран поземлен имот І-За обществено жилищно строителство и подземни гаражи,II-За магазин, обществено хранене и битови услуги, и VIII –За електроенергийно производство, кв.817 улица по ок50-ок50а-ок-51 към ок52,задънена улица по ок 51 към ок 51б,задънена улица по ок 5 към ок 5а и задънена улица по ок 54 към ок 55 по плана на гр. Плевен , на основание чл.129, ал.2 от ЗУТ , във връзка с чл.136, ал.1 от ЗУТ и план схеми за електрификация и В и К схеми по чл.108, ал.2 от ЗУТ.
който е изложен в Общината, стая № 73 и може да бъде прегледан в дните понеделник, вторник, сряда, четвъртък и петък от 9.00 до 11.00 часа , както и на сайта на Община Плевен.
На основание чл. 215, ал.4 от Закона за устройство на територията заповедта може да се обжалва в 14 (четиринадесет) дневен срок от съобщаването и пред Административен съд гр. Плевен , чрез Община-Плевен.
Жалбата се подава в два екземпляра в център за обслужване на граждани при Община Плевен – зала “ Катя Попова”.
При обжалване за образуване на съдебно производство следва да бъде внесена държавна такса на основание чл. 2б от Тарифа №1 към Закона за държавните такси от жалбоподателите, както следва:
-физически лица, които не са търговци и юридически лица с нестопанска цел- 10лв
-други юридически лица и физически лица- търговци по смисъла на търговския закон –50лв.
Таксата се внася по сметка на Административен съд гр. Плевен.
Арх. Росица Томова
Началник отдел „ТО“
