Pleven Municipality

Pleven Municipality

Official website

  • Начална страница
  • Контакти
  • Избери Български език

Hotline
064/ 881 323

- + A Карта на сайта
  • bg Български

Show menu

  • About
    • More about Pleven
    • Historical overview
    • Sights, monuments and museums
    • Festivities and celebrations
    • Gallery
    • We are proud of them ...
    • Mayors
    • Honorary citizens
    • Twin towns
  • Administration
    • Mayor
    • Deputy mayors
    • Secretary
    • Chief Architect
    • Administration
    • Mayors and deputy mayors
    • Structure
    • Documents
  • Activities
    • Culture
    • Education
    • Finance and economy
    • Health and social work
    • EU projects
    • Sports and Youth Activities
    • Tourism
    • Ecology
    • Local taxes and fees
    • Urbanization and Construction
    • Public order and security
    • Municipal property
  • Services
    • Civil status
    • Administrative services
    • Complex administrative services
    • Online services
    • Other services and information
  • Events
    • Newspaper and radio
    • Invest in Pleven
    • Pleven in pictures 2018
  • Documents
    • Regulations
    • Rules
    • Programs and strategies
    • Internal regulations
    • Orders
    • Budget
    • Annual financial statements
  • Contacts
  • Municipality

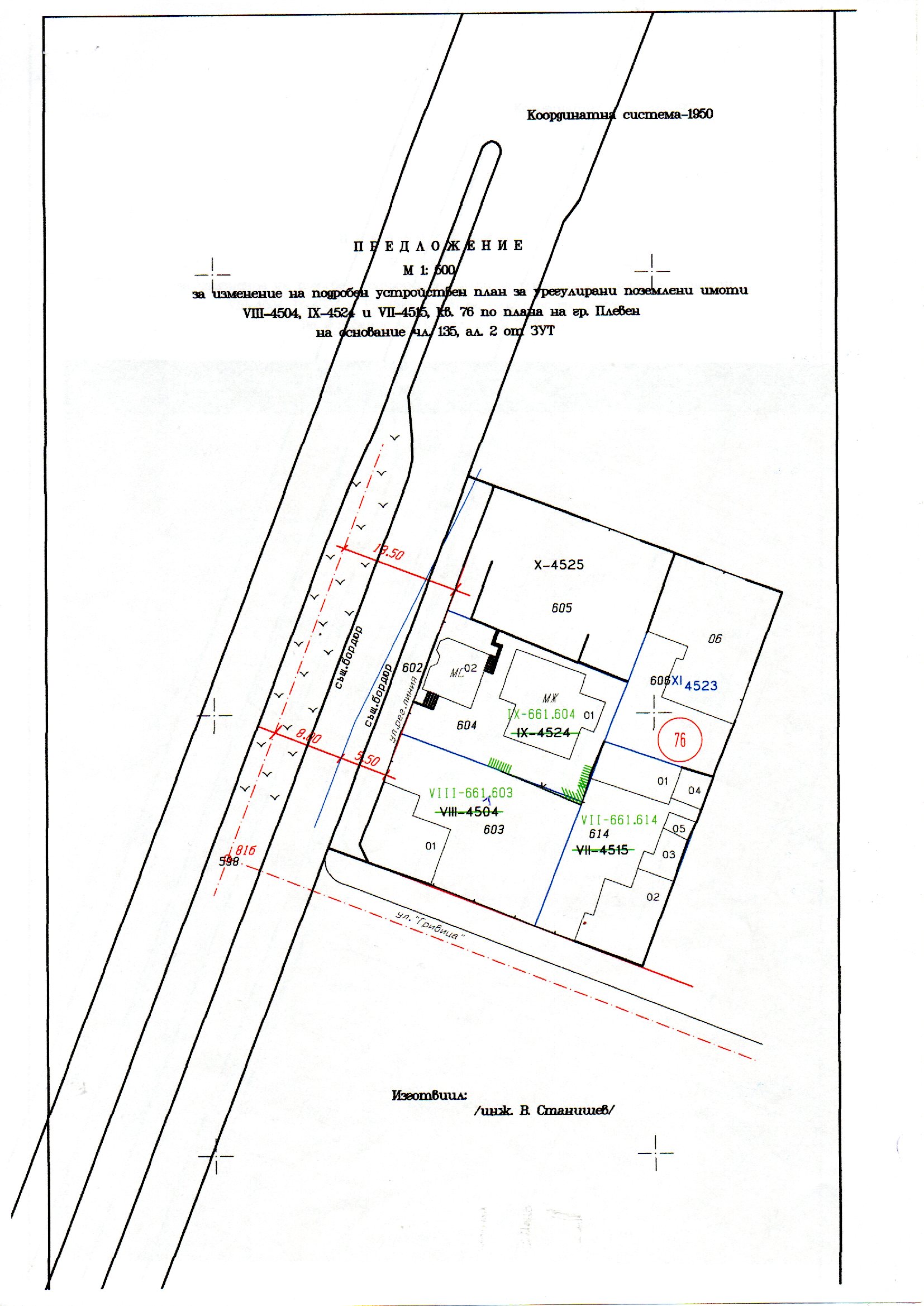
О Б Я В Л Е Н И Е № ТСУ-30-1554-1/02.02.2024 год.

понеделник, 05 февруари 2024 857

Файлове:

Предложение ПУП-ПР кв.76 Плевен_.jpg Предложение ПУП-ПР кв.76 Плевен_.jpg

Заповед  за допускане ПУП-ПР кв.76 Плевен_.jpg Заповед за допускане ПУП-ПР кв.76 Плевен_.jpg

Events

Предишен месец December 2025 Следващ месец
MoTuWeThFrSaSu
1
2
3
4
5
6
7
8
9
10
11
12
13
14
15
16
17
18
19
20
21
22
23
24
25
26
27
28
29
30
31
    

Cultural calendar

Sport calendar

Learn first to be informed

  •   Buyer profile
  •   Announcements
  •   Administrative services
  •   E-services
  •   Local taxes and fees

Pleven Municipality

Official website

5800 Pleven, Square "Vazrajdane" №2
Headquarters: 064 881 200
Fax: 064 844 230
E-mail: mayor@pleven.bg

Hotline
064/ 881 323

  • Administration
  • Services
  • Documents
  • Events
  • Careers
  • Contacts
  • Buyer profile
  • Announcements
  • Tenders
  • Administrative services
  • Orders from mayor
  • Careers

Pleven Municipality © 2025. All rights reserved.

|
  • Protection of personal data
  • Accessibility to the content
  • Web Mail

Website and Support: NK Software